
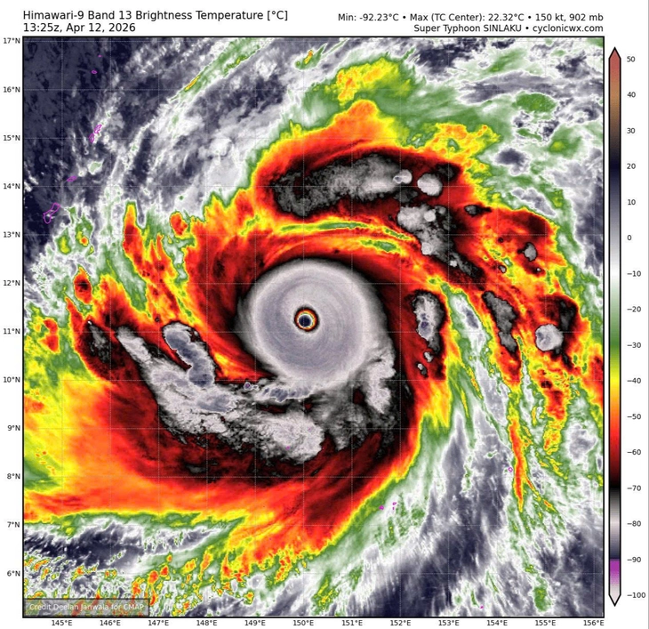
Ảnh mây vệ tinh siêu bão Sinlaku - Ảnh: NCHMF
Trung tâm Dự báo khí tượng thủy văn quốc gia cho biết tối 12-4, bão Sinlaku ở vùng biển tây bắc Thái Bình Dương đã mạnh thành siêu bão. Sức gió mạnh nhất vùng gần tâm bão mạnh cấp 16 (190km/h), giật trên cấp 17.
Đây là cơn bão đầu tiên trong năm 2026 đạt cấp siêu bão.
Tính từ đầu năm đến nay, Sinlaku đang là cơn bão mạnh nhất thế giới tới thời điểm hiện tại, với áp suất trung tâm 920 hPa, vượt qua bão Maila ở khu vực Úc (924 hPa).
Đây cũng là lần thứ ba kể từ năm 1977 mới xuất hiện một siêu bão trong tháng 4, trước đó là siêu bão Surigae năm 2021.
Hiện siêu bão Sinlaku vẫn đang cách phía đông Philippines và Biển Đông khoảng 3.000km.
Trên ảnh mây vệ tinh có thể thấy mắt siêu bão Sinlaku rõ nét, vùng mây đối lưu phát triển mạnh và hoàn lưu đối xứng.
Trung tâm Dự báo khí tượng thủy văn quốc gia cho biết hiện nay các điều kiện môi trường trên vùng biển thuận lợi như nhiệt độ mặt nước biển cao, thông lượng nhiệt từ đại dương dồi dào, độ đứt gió tầng cao yếu, tạo điều kiện để bão có thể mạnh lên nhanh trong 24 giờ tới.
Dự báo cường độ cực đại của siêu bão Sinlaku mạnh nhất vào khoảng cấp 16 - 17 (185 - 220km/h), giật trên cấp 17.
Về hướng di chuyển, dự báo trong đêm nay và ngày mai, siêu bão Sinlaku đi theo hướng tây bắc với tốc độ khoảng 15km/h.
Sau đó siêu bão Sinlaku sẽ đổi hướng di chuyển lên phía bắc, và nhiều khả năng sẽ tiếp tục đổi hướng một lần nữa thành hướng bắc đông bắc vào khoảng ngày 16 đến 17-4, đi tới vùng biển phía đông của Nhật Bản và cường độ sẽ giảm cấp dần.
"Hiện tại các dự báo bão đều cho thấy bão sẽ không có khả năng đi vào khu vực Biển Đông" - Trung tâm Dự báo khí tượng thủy văn nhận định và cho biết vẫn đang theo dõi sát diễn biến cơn bão này.
Tối đa: 1500 ký tự
Hiện chưa có bình luận nào, hãy là người đầu tiên bình luận