Tag: bão Sinlaku

Dự báo mới nhất về siêu bão Sinlaku

Sau khi quét qua quần đảo Bắc Mariana, siêu bão Sinlaku đã suy yếu xuống cấp 15 (tương đương gió 167-183km/h). Dự báo bão tiếp tục đi lên phía bắc nên không có tác động gì đến thời tiết của Biển Đông của nước ta.

Sáng 14-4, siêu bão Sinlaku ở khu vực tây bắc Thái Bình Dương vẫn duy trì gió mạnh khoảng 210km/h (tương đương cấp 17) và đang hướng về quần đảo Bắc Mariana.

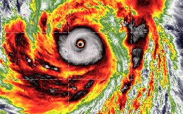
Hình ảnh vệ tinh siêu bão Sinlaku, mắt bão rõ nét, mạnh nhất thế giới từ đầu năm

Thông tin từ các cơ quan khí tượng và ảnh vệ tinh cho thấy siêu bão Sinlaku có hoàn lưu rộng hàng trăm km, mắt bão rõ nét, đối xứng, đĩa mây dày đặc.

Siêu bão Sinlaku tiếp tục mạnh thêm, gió lên tới 212km/h

Đêm qua đến sáng sớm nay, sức gió mạnh nhất vùng gần tâm siêu bão Sinlaku tiếp tục tăng lên 115kts (212km/h), tương đương cấp 17, giật trên cấp 17.

Tối 12-4, sức gió vùng tâm siêu bão Sinlaku đã tăng lên 190km/h, tương đương cấp 16, giật trên cấp 17. Đây là lần thứ ba kể từ năm 1977, khu vực tây bắc Thái Bình Dương mới xuất hiện một siêu bão trong tháng 4.

Bão Sinlaku có thể mạnh lên thành siêu bão

Sau hơn hai ngày hình thành, cường độ bão Sinlaku ở tây bắc Thái Bình Dương đã tăng liền 7 cấp, lên cấp 15 (tiệm cận siêu bão). Dự báo trong 24 giờ tới, Sinlaku có khả năng mạnh lên thành siêu bão.

Sáng 10-4, áp thấp nhiệt đới ở vùng biển tây bắc Thái Bình Dương mạnh lên thành bão, tên quốc tế Sinlaku. Dự báo những ngày tới bão sẽ liên tục tăng cấp và cường độ có thể đạt cấp 15 (50m/s), nhưng ít có khả năng đi vào Biển Đông.

Áp thấp nhiệt đới trên tây bắc Thái Bình Dương khả năng mạnh lên thành bão

Vùng áp thấp trên khu vực tây bắc Thái Bình Dương đã mạnh lên thành áp thấp nhiệt đới và có thể mạnh lên thành bão, ít có khả năng đi vào Biển Đông.

Dự kiến bão số 4 đổ bộ vào Phú Yên từ chiều tối 29-11

TTO - Nếu không có sự thay đổi về hướng đi, nhiều khả năng Phú Yên sẽ là vùng tâm bão số 4 đổ bộ.

​Tìm mọi biện pháp thông báo cho tàu thuyền tránh bão

​TTO - Đó là một trong những yêu cầu của công điện Ban chỉ đạo Phòng chống lụt bão (PCLB) trung ương và Ủy ban Quốc gia tìm kiếm cứu nạn (TKCN) vào trưa nay 28-11.