
Ảnh mây vệ tinh siêu bão Sinlaku - Ảnh: Cyclonicwx
Theo Cơ quan khí tượng Nhật Bản (JMA), chiều 13-4, siêu bão Sinlaku cách quần đảo Bắc Mariana khoảng 350km về phía đông nam, sức gió mạnh nhất vùng gần tâm bão vẫn duy trì 212km/h (tương đương cấp 17), giật trên cấp 17.
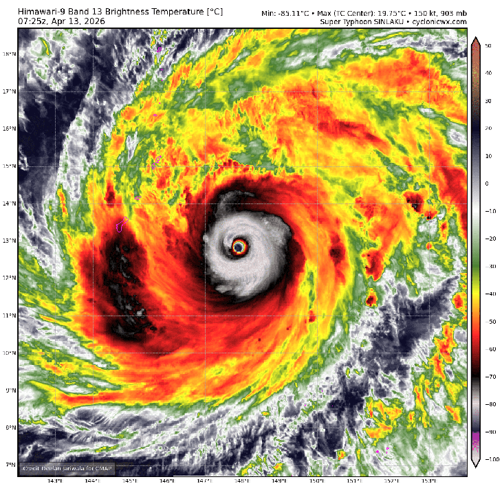
Qua ảnh vệ tinh Himawari 8, có thể thấy mắt siêu bão Sinlaku rõ nét, tròn xoe, vùng mây đối lưu phát triển mạnh và hoàn lưu đối xứng, dày đặc.
JMA cảnh báo vùng gió mạnh cấp 7 trở lên trải dài từ 500-600km tính từ tâm bão, vùng gió mạnh cấp 10 trở lên khoảng 165km.
Hiện siêu bão Sinlaku đang trong thời điểm mạnh nhất và có thể suy yếu dần trong khoảng 12 đến 24 giờ tới.
Trung tâm Dự báo khí tượng thủy văn quốc gia cho biết đây là cơn bão đầu tiên trong năm 2026 đạt cấp siêu bão.
Tính từ đầu năm đến nay, Sinlaku đang là cơn bão mạnh nhất thế giới với áp suất trung tâm 905 hPa, vượt qua bão Maila ở khu vực Úc (924 hPa).
Đây cũng là lần thứ ba kể từ năm 1977 mới xuất hiện một siêu bão trong tháng 4, trước đó là siêu bão Surigae năm 2021.
JMA dự báo trong hai ngày tới, siêu bão Sinlaku chủ yếu di chuyển theo hướng tây bắc với tốc độ 10-15km/h, hướng tới quần đảo Bắc Mariana, có khả năng quét qua quần đảo này, sau đó đi lên phía bắc và tiếp tục suy yếu thêm.
Trung tâm Dự báo khí tượng thủy văn quốc gia nhận định các dự báo hiện tại đều cho thấy siêu bão Sinlaku không có khả năng đi vào khu vực Biển Đông.

Lúc 12h trưa nay, siêu bão Sinlaku cách Biển Đông khoảng 3.000km - Ảnh: Himawari 8

Dù cách quần đảo Bắc Mariana khoảng 350km về phía đông nam nhưng vùng mây bão đang bao trùm - Ảnh: Himawari 8

Hiện siêu bão đang trong giai đoạn mạnh nhất, với sức gió lên tới 115kts (tương đương 212km/h) - Ảnh: Himawari 8

Mắt siêu bão Sinlaku tròn xoe - Ảnh: Windy

Ảnh về gió của siêu bão Sinlaku - Ảnh: Windy

Trung tâm Dự báo khí tượng thủy văn quốc gia nhận định các dự báo hiện tại đều cho thấy siêu bão Sinlaku không có khả năng đi vào khu vực Biển Đông - Ảnh: Windy
Tối đa: 1500 ký tự
Hiện chưa có bình luận nào, hãy là người đầu tiên bình luận