
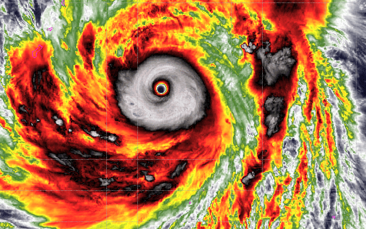
Cơn bão Milton ở Vịnh Mexico nhìn từ vệ tinh hôm 7-10-2024 - Ảnh: NOAA
Một nghiên cứu mới cho thấy các đợt sóng nhiệt trên biển đang làm gia tăng sức mạnh của bão và bão nhiệt đới trên toàn cầu, khiến thiệt hại khi đổ bộ vào đất liền tăng đáng kể.
Phân tích 1.600 cơn bão nhiệt đới đổ bộ từ năm 1981, các nhà khoa học phát hiện những cơn bão đi qua vùng nước biển cực nóng có xu hướng tăng cường nhanh chóng. Nghiên cứu công bố trên tạp chí Science Advances cho thấy hiện tượng này đã góp phần làm tăng 60% số thảm họa gây thiệt hại từ 1 tỉ USD trở lên (đã điều chỉnh theo lạm phát).
Theo nhóm nghiên cứu, sóng nhiệt đại dương là những vùng nước rộng lớn, tồn tại trong thời gian dài và có nhiệt độ thuộc nhóm cao nhất lịch sử. Trong bối cảnh biến đổi khí hậu, đại dương ấm lên đã trở thành nguồn "nhiên liệu" lý tưởng giúp bão mạnh lên.
Ông Gregory Foltz, nhà hải dương học thuộc Cơ quan Quản lý Khí quyển và Đại dương Quốc gia Mỹ (NOAA), cho biết hơn một nửa số cơn bão đổ bộ chịu ảnh hưởng của sóng nhiệt đại dương. Các vùng nước nóng này ngày càng xuất hiện gần đất liền và thường xuyên hơn, làm gia tăng nguy cơ thiệt hại cực đoan khi bão vào bờ.
Thực tế đã được ghi nhận qua nhiều cơn bão lớn gần đây. Giáo sư Hamed Moftakhari (Đại học Alabama, Mỹ) dẫn chứng việc các cơn bão có thể mạnh lên nhanh chóng khi đi qua vùng biển ấm, thậm chí xảy ra liên tiếp trong thời gian ngắn, như hai cơn bão đổ bộ bờ biển phía tây bang Florida chỉ cách nhau vài tuần.
Một ví dụ điển hình là bão Otis vào tháng 10-2023. Chỉ trong vòng một ngày, cơn bão này tăng từ cấp nhiệt đới lên siêu bão cấp 5, đổ bộ gần Acapulco (Mexico) với sức gió tới 265km/h, khiến 52 người thiệt mạng và gây thiệt hại khoảng 16 tỉ USD.
Để đảm bảo tính khách quan, nhóm nghiên cứu đã so sánh các cơn bão đi qua vùng nước nóng với những cơn bão tấn công các khu vực đô thị tương tự nhưng không chịu tác động này. Kết quả cho thấy mức độ thiệt hại gia tăng không phải do sự phát triển hạ tầng ven biển.
Tác giả chính Soheil Radfar, nhà khoa học tại Đại học Princeton, cảnh báo trong vài thập kỷ tới, sự kết hợp giữa tốc độ tăng cường nhanh của bão và số lượng sóng nhiệt đại dương gia tăng sẽ gây áp lực lớn lên các khu vực ven biển, kéo theo nhiều thảm họa tốn kém hơn.
Các chuyên gia cho rằng xu hướng này đặt ra yêu cầu cấp thiết trong việc điều chỉnh quy hoạch và ứng phó thiên tai. Hệ thống cảnh báo sớm, kế hoạch sơ tán, cũng như thiết kế đê biển, thoát nước cần được cập nhật để thích ứng với nguy cơ bão tăng cấp đột ngột.
Giáo sư Brian Tang (Đại học Albany, Mỹ) nhận định kết quả nghiên cứu phù hợp với các quy luật vật lý về bão và biến đổi khí hậu. Theo ông, đại dương ấm hơn làm tăng quá trình bốc hơi, cung cấp năng lượng cho bão phát triển và gây mưa lớn, qua đó khiến các cơn bão trở nên nguy hiểm hơn.
Tối đa: 1500 ký tự
Hiện chưa có bình luận nào, hãy là người đầu tiên bình luận